GeoHistory Resources

Purchase Image Reproduction

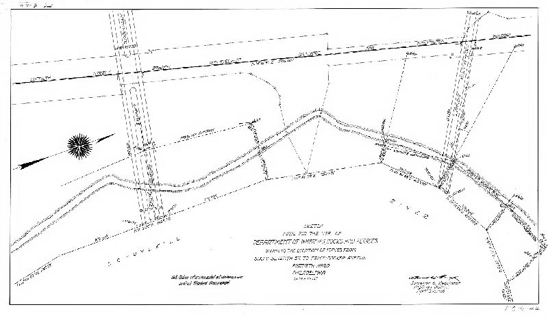
Plan, Sketch made for the use of the Department Wharves, Docks and Ferries showing the location of stakes from Sixth-seventh St. to Pennypacker Avenue. Fortieth Ward, Philadelphia

We're sorry, reproductions for this item are currently not available through our online ordering system. You may still in most cases order reproductions by contacting the holding institution directly.

PHILADELPHIA STREETS DEPARTMENT, SURVEY AND DESIGNS BUREAU

Frank Morelli
Survey Bureau Manager
Philadelphia Streets Dept.

Phone: (215) 686-5540
Email: frank.morelli@phila.gov

Plan, Sketch made for the use of the Department Wharves, Docks and Ferries showing the location of stakes from Sixth-seventh St. to Pennypacker Avenue. Fortieth Ward, Philadelphia

Original size: 21 x 36 in. (estimated)