GeoHistory Resources

Purchase Image Reproduction

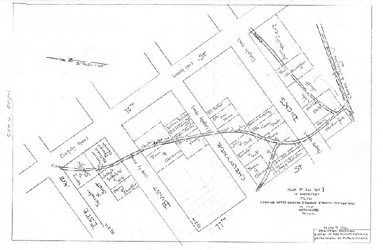
Plan, Plan showing water courses, drainage streets, ditches, etc. in the 40th Ward Philadelphia, made for the Bureau of Highways. Subplan 1. [Creeks from Este Ave. to Dicks Ave., between 76th and 77th]

We're sorry, reproductions for this item are currently not available through our online ordering system. You may still in most cases order reproductions by contacting the holding institution directly.

PHILADELPHIA STREETS DEPARTMENT, SURVEY AND DESIGNS BUREAU

Frank Morelli
Survey Bureau Manager
Philadelphia Streets Dept.

Phone: (215) 686-5540
Email: frank.morelli@phila.gov

Plan, Plan showing water courses, drainage streets, ditches, etc. in the 40th Ward Philadelphia, made for the Bureau of Highways. Subplan 1. [Creeks from Este Ave. to Dicks Ave., between 76th and 77th]

Original size: 16 x 24 in. (estimated)